Glas Stoca
  • Početna
  • Vijesti
  • Politika
  • Kolumne
  • Kultura
  • Sport
  • Turizam
  • Privreda
  • Stolac
    • Historija
    • Iz stolačke sehare
    • Poznati Stočani
    • Multimedia (Galerija – Video&Foto)
    • Stočani u svijetu
  • Sjećanja (In Memoriam)
  • Humanitarne akcije
  • Kontakt
    • Dojavi vijest
No Result
View All Result
  • Početna
  • Vijesti
  • Politika
  • Kolumne
  • Kultura
  • Sport
  • Turizam
  • Privreda
  • Stolac
    • Historija
    • Iz stolačke sehare
    • Poznati Stočani
    • Multimedia (Galerija – Video&Foto)
    • Stočani u svijetu
  • Sjećanja (In Memoriam)
  • Humanitarne akcije
  • Kontakt
    • Dojavi vijest
No Result
View All Result
Glas Stoca
No Result
View All Result
Home Vijesti

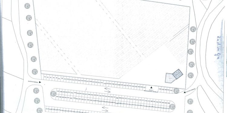
Medžlis IZ Stolac dobio građevinsku dozvolu za novi Gradski harem

by Glas Stoca
27/06/2024
in Vijesti
Medžlis IZ Stolac dobio građevinsku dozvolu za novi Gradski harem
Podijeli na FacebookPodijeli na Twitter

“Poštovane džematlije, naši dragi sugrađani, raduje nas činjenica da vam nakon 11 (jedanaest) godina procedura, konačno možemo saopštiti da smo dobili građevinsku dozvolu za novi Gradski harem u Stocu.

Naime, ovaj dugi put traje od predavanja prvog službenog zahtjeva općini Stolac sa idejnim projektom 2013. godine, o čemu je javnost manje-više upoznata, često i vrlo površno. Posljednje tri godine ovaj proces dobio je jednu drugu formu i proceduru, te tako konačno došao do svog kraja.

Ovim putem se Medžlis IZ Stolac zahvaljuje svima koji su doprinijeli rješavanju ovog pitanja.” napisali su u svom saopštenju iz Medžlisa Islamske zajednice Stolac.

Next Post
Na aplikaciji ePorodilje registrovano ukupno 6.853 korisnice

Na aplikaciji ePorodilje registrovano ukupno 6.853 korisnice

Leave a Reply Cancel reply

Your email address will not be published. Required fields are marked *

NAJNOVIJE

Učenici Prve osnovne škole Stolac posjetili Memorijalni centar Srebrenica – Potočari

Učenici Prve osnovne škole Stolac posjetili Memorijalni centar Srebrenica – Potočari

23/04/2026
RTV Slovenija neće prenositi Eurosong, umjesto toga u programu emisija “Glasovi Palestine”

RTV Slovenija neće prenositi Eurosong, umjesto toga u programu emisija “Glasovi Palestine”

23/04/2026
Počinje prodaja ulaznica za meč BiH – Sjeverna Makedonija

Počinje prodaja ulaznica za meč BiH – Sjeverna Makedonija

22/04/2026
Otvoren 37. Sajam knjige u Sarajevu: Pod sloganom “Put knjige” slavi vezu između prošlosti i budućnosti

Otvoren 37. Sajam knjige u Sarajevu: Pod sloganom “Put knjige” slavi vezu između prošlosti i budućnosti

22/04/2026
Glas Stoca

Glas Stoca. Nezavisni portal građana općine Stolac.

Kategorije

  • Historija
  • Humanitarne akcije
  • Iz stolačke sehare
  • Kolumne
  • Kultura
  • Najave
  • Politika
  • Poznati Stočani
  • Sjećanja (In Memoriam)
  • Sport
  • Stočani u svijetu
  • Stolac
  • Turizam
  • Vijesti
  • Zanimljivosti

Društvene mreže

No Result
View All Result
  • Početna
  • Vijesti
  • Politika
  • Kolumne
  • Kultura
  • Sport
  • Turizam
  • Privreda
  • Stolac
    • Historija
    • Iz stolačke sehare
    • Poznati Stočani
    • Multimedia (Galerija – Video&Foto)
    • Stočani u svijetu
  • Sjećanja (In Memoriam)
  • Humanitarne akcije
  • Kontakt
    • Dojavi vijest

© 2021 Nezavisni portal građana opštine Stolac. Glas Stoca.

X